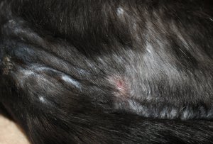
Hm, also woher die nur immer diese Abszesse bekommen?? Hoffe instaendig, dass es jetzt bei Mietzi ausgestanden ist!! Sieht ja echt klasse aus, kaum zu glauben, dass das der gleiche Kater ist :razz::razz::razz::razz:
Vielleicht koenntet ihr mit Mietzi zusammen rausgehen? Ich weiss nciht, ob ihr die kennt, aber es gibt diese sog. "Walking Jackets", die sind aehnlich wie ein Geschirr, kannst ja mal googlen - ich hatte mir damals zwei fuer meine beiden gekauft, funktionieren gut und sind viel besser geeignet als normale Halsbaender und Leine (sieht uebrigens auch sehr niedlich aus, nicht, dass das wichtig waere :razz::razz

. Leider sind meine beiden mittlerweilen glaub ich da "rausgewachsen" - naja, wir brauchen die ja auch nicht mehr, unsere beiden gehen in unseren umzaeunten Garten - das ist zwar nicht superspannend fuer die beiden, aber ein guter Kompromiss (uneingeschraenkten Freigang wuerden meine Nerven nicht verkraften, ausserdem gibt's bei uns Fuechse, Raccoons etc., die fuer Katzen gefaehrlich sein koennen!!)
Also, super ihr drei, sieht sehr gut aus!!
Schoenes Wochenende - ich muss heute leider arbeiten :-

-(